How Cuba Saved Florida From a Category 5 Hurricane
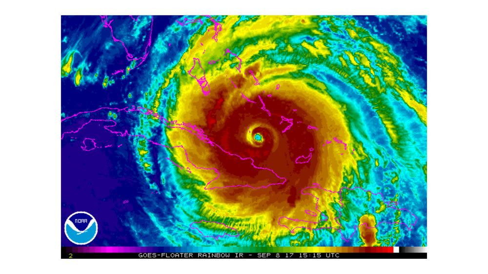
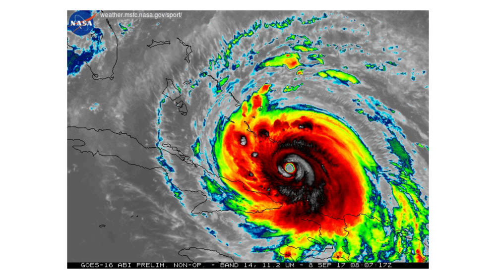
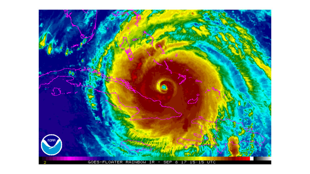
2017's Hurricane Irma was the strongest Atlantic storm ever recorded, with maximum winds of 185 mph.
Our annual celebration of the people, places and businesses that make Sarasota exceptional—voted on by our readers. From dining and shopping to services and experiences, this is the definitive guide to local's favorites.
OveriewYour insider's guide to Sarasota’s food and drink scene, from standout restaurants and buzzy new openings to chefs, cocktails, and dining trends shaping the way we eat and gather.
Sip, Savor, RepeatA curated look at how Sarasota lives, including real estate news, exceptional homes, design inspiration and the professionals redefining luxury and livability in our region.
Step InsideThe Hot New Neighborhood
Local news, profiles, and lifestyle features that capture the pulse of our community and the people shaping it.
Stay in the KnowSuncoast Searchlight
A front-row seat to Sarasota’s vibrant cultural scene. We cover theater, visual arts, music, festivals and the creative forces that make our city a cultural destination.
See What’s On StageExplore the places and experiences locals love most. From hidden gems and outdoor adventures to weekend getaways, celebrate Sarasota’s natural beauty and sense of discovery.
Find Your Next AdventureIn Full Flower
Browse current and past print issues, explore our digital flipbooks, and dive deeper into the stories that define our award-winning publication.
See What’s InsideCurrent Issue - April 2026
Saving Old FloridaThe Florida Cracker cow, Triangle Ranch and preserving open land.
Previous Issue
Home & Design IssueJoin our community of engaged readers and never miss an issue. Print subscribers enjoy beautiful, award-winning magazines delivered to their door, plus access to our digital newsletters and insider content.
Never Miss an Issue
Sarasota, Delivered
Experience our award-winning print magazine. Every issue is packed with storytelling, stunning photography, and local insight.
Find out moreBy Bob Bunting July 1, 2018 Published in the July 2018 issue of Sarasota Magazine
2017's Hurricane Irma was the strongest Atlantic storm ever recorded, with maximum winds of 185 mph.
At Sarasota Magazine, we celebrate Sarasota’s vibrant culture, rich history, and bright future with award-winning, high-quality content that captures the spirit of our community.